广东电网有限责任公司汕头供电局汕头220千伏物流输变电工程《建设用地规划许可证》批后公告
2025-03-25 10:27
来源:汕头市自然资源局
发布机构:
【字体:
大
中
小
】
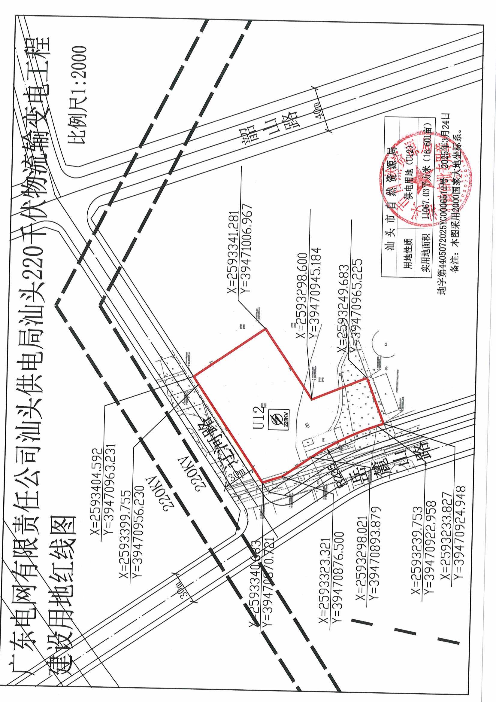
根据《中华人民共和国城乡规划法》第三十七、三十八条、《汕头经济特区城乡规划条例》第四十七条规定,经审核,本建设用地符合城乡规划要求,颁发此证。
许可证号: | 地字第4405072025YG0006512号 |
发证机关: | 汕头市自然资源局 |
发证日期: | 2025年3月24日 |
用地单位: | 广东电网有限责任公司汕头供电局 |
用地项目名称: | 汕头220千伏物流变电站工程 |
用地位置: | 岳麓山路与辽河路交界东南侧 |
用地性质: | 供电用地(U12) |
用地面积: | 11067.03(16.601亩) |

