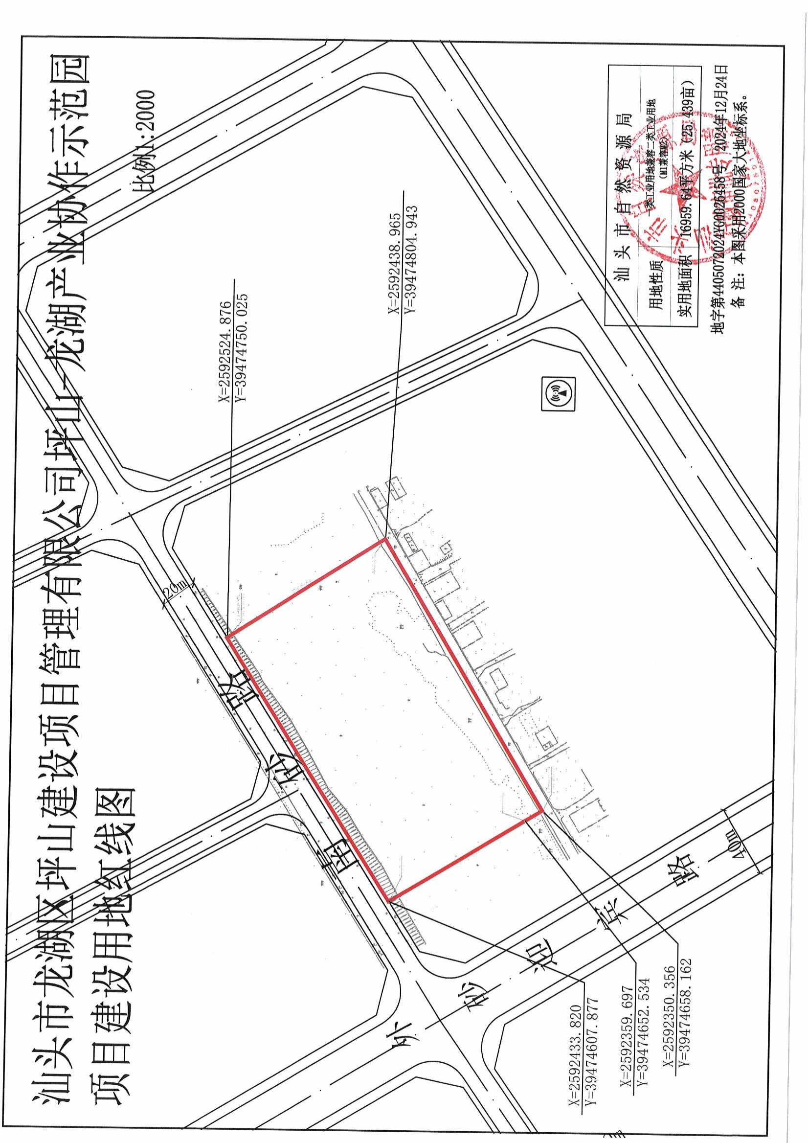
汕头市龙湖区坪山建设项目管理有限公司坪山-龙湖产业协作示范园项目《建设用地规划许可证》批后公告
2024-12-24 11:04
来源:汕头市自然资源局
发布机构:
【字体:
大
中
小
】
根据《中华人民共和国城乡规划法》第三十七、三十八条、《汕头经济特区城乡规划条例》第四十七条规定,经审核,本建设用地符合城乡规划要求,颁发此证。
许可证号: | 地字第4405072024YG0026458号 |
发证机关: | 汕头市自然资源局 |
发证日期: | 2024年12月24日 |
用地单位: | 汕头市龙湖区坪山建设项目管理有限公司 |
用地项目名称: | 坪山-龙湖产业协作示范园项目 |
用地位置: | 龙湖现代产业园外砂片区外砂迎宾路与南砂路交界东南侧 |
用地性质: | 一类工业用地兼容二类工业用地(M1兼容M2) |
用地面积: | 16959.64平方米(25.439亩) |

