林巧英汕头市五洲加油站改建项目《建设工程规划许可证》
2026-03-18 18:14
来源:本网
发布机构:
【字体:
大
中
小
】
根据《中华人民共和国城乡规划法》第四十条规定,经审核,本建设工程符合城乡规划要求,颁发《建设工程规划许可证》。
许可证号: | 建字第 4405112026GG0009689号 |
发证机关: | 汕头市自然资源局 |
发证日期: | 2026年3月17日 |
建设单位(个人): | 林巧英 |
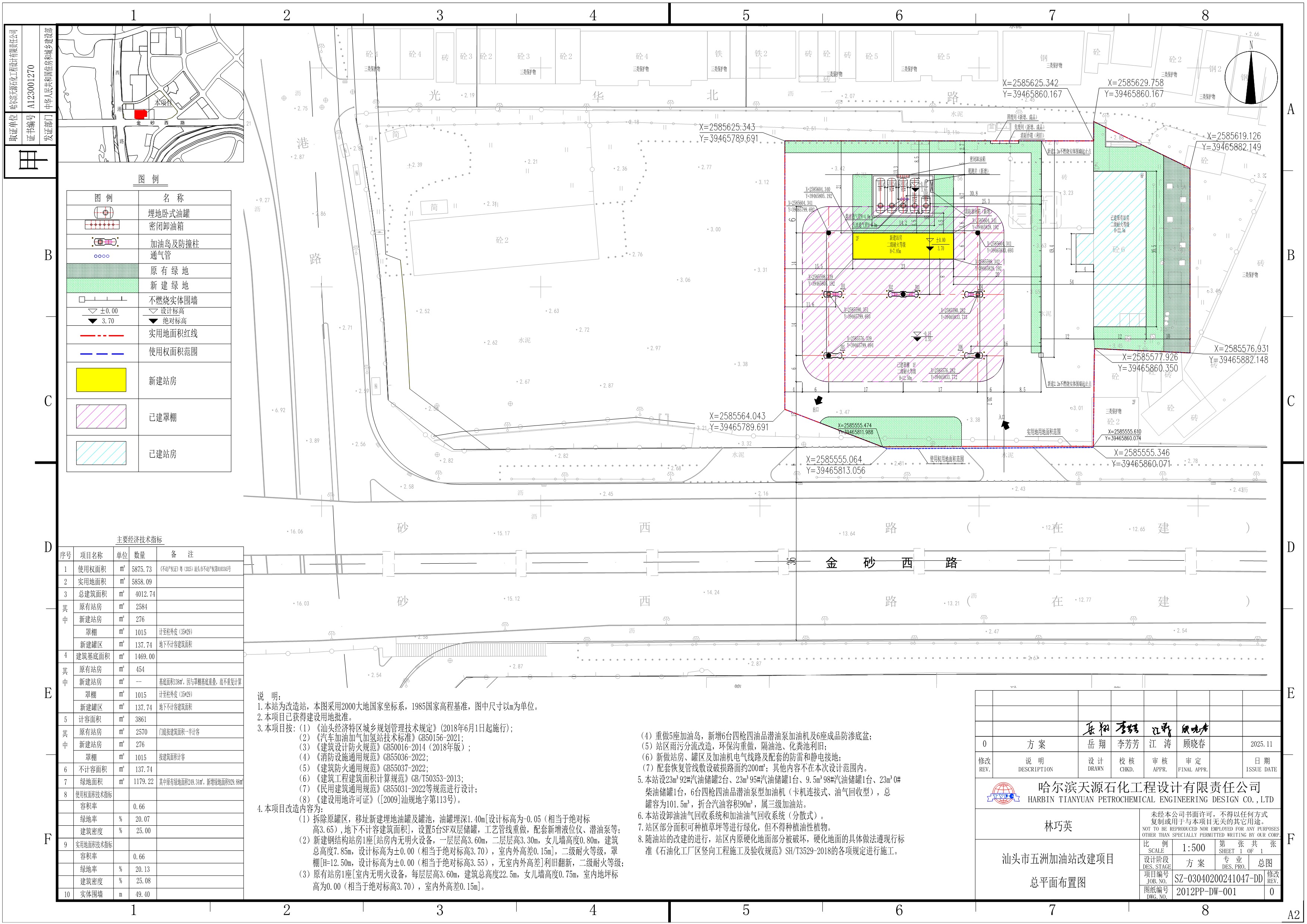
建设项目名称: | 汕头市五洲加油站改建项目 |
建设位置: | 西港路南段东侧 |
建设规模: | 1栋2层站房,地下油罐罐池及围墙。总建筑面积:413.74㎡,其中站房276㎡,地下油罐罐池面积137.74㎡。围墙长度:49.4m。计容建筑面积:276㎡。容积率:0.66,建筑密度:25.08%。 |

