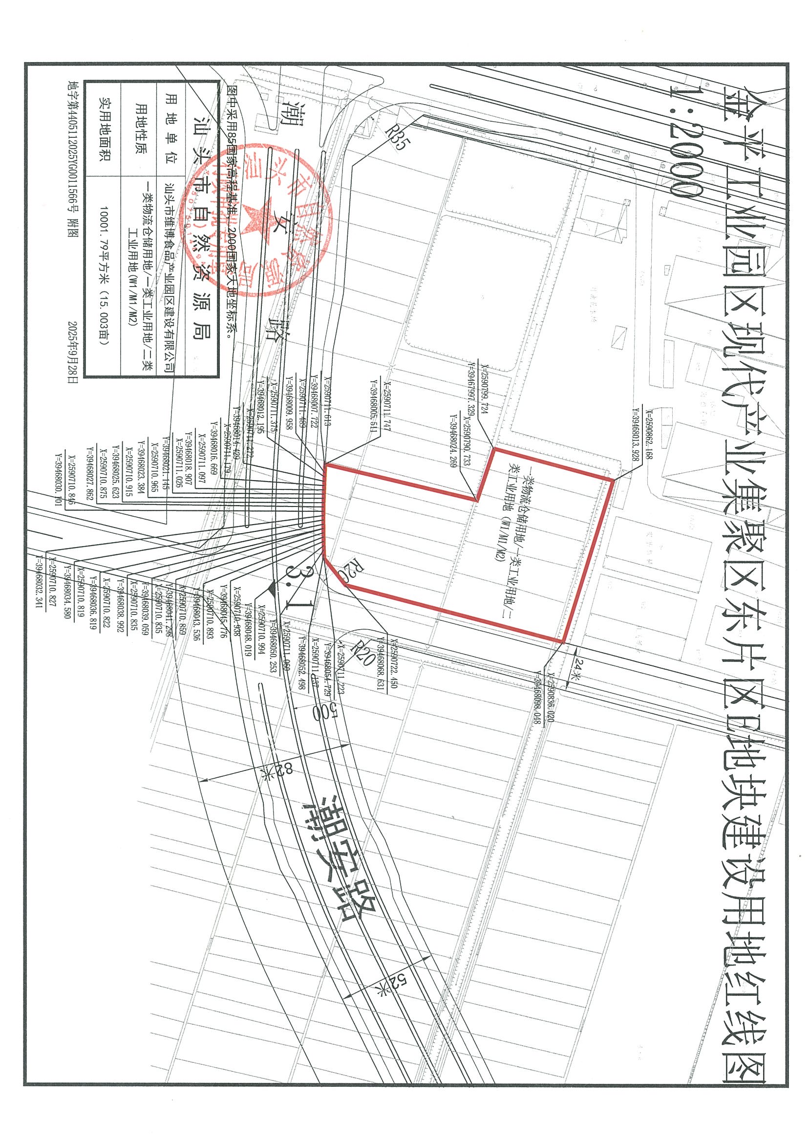
汕头市维博食品产业园区建设有限公司维博产业园建设项目《建设用地规划许可证》
2025-09-29 10:49
来源:本网
发布机构:
【字体:
大
中
小
】
根据《中华人民共和国城乡规划法》第三十七、三十八条、《汕头经济特区城乡规划条例》第四十七条规定,经审核,本建设用地符合城乡规划要求,颁发此证。
许可证号: | 地字第4405112025YG0011566号 |
发证机关: | 汕头市自然资源局 |
发证日期: | 2025年9月28日 |
用地单位: | 汕头市维博食品产业园区建设有限公司 |
用地项目名称: | 维博产业园建设项目 |
用地位置: | 汕头市金平区月浦街道潮安路北侧 |
用地性质: | 一类物流仓储用地/一类工业用地/二类工业用地(W1/M1/M2) |
用地面积: | 10001.79平方米(15.003亩) |

