政府信息公开
1144050077308738X5/2025-00494
汕头市自然资源局(海洋局)
2025-04-10
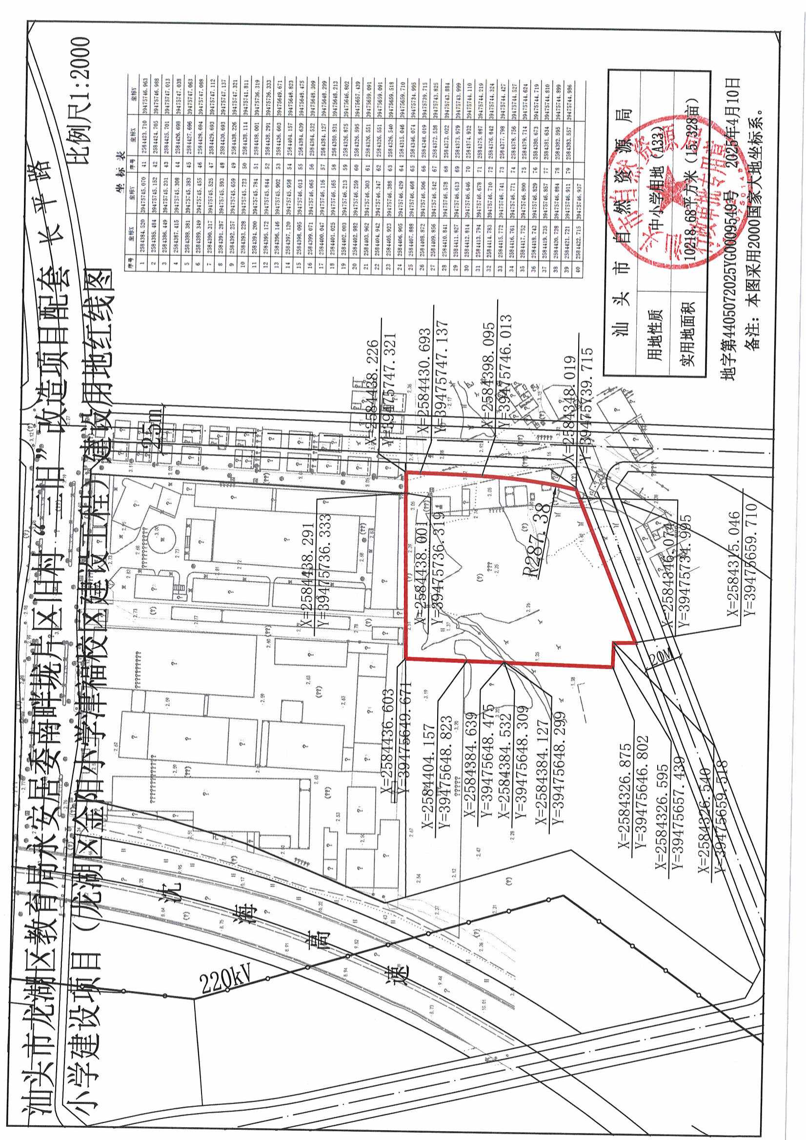
汕头市龙湖区教育局永安居委南畔垅片区旧村“三旧”改造项目配套小学建设项目(龙湖区金阳小学津福校区建设工程)《建设用地规划许可证》批后公告
2025-04-10

汕头市龙湖区教育局永安居委南畔垅片区旧村“三旧”改造项目配套小学建设项目(龙湖区金阳小学津福校区建设工程)《建设用地规划许可证》批后公告

发布日期:2025-04-10  浏览次数:-

根据《中华人民共和国城乡规划法》第三十七、三十八条、《汕头经济特区城乡规划条例》第四十七条规定,经审核,本建设用地符合城乡规划要求,颁发此证。

许可证号:

地字第4405072025YG0009549号

发证机关:

汕头市自然资源局

发证日期:

2025年4月10日

用地单位:

汕头市龙湖区教育局

用地项目名称:

永安居委南畔垅片区旧村“三旧”改造项目配套小学建设项目(龙湖区金阳小学津福校区建设工程)

用地位置:

长平路南侧、沈海高速公路东侧

用地性质:

中小学用地(A33)

用地面积:

10218.68平方米(15.328亩)

用地证_1.Jpeg红线图_1.Jpeg