1144050077308738X5/2024-02281
汕头市龙湖区新津街道珠津工业区玉山路与玉津中路交界西北侧(广东汕头龙湖工业园区)郑灶泉厂房建设项目核发《建设工程规划许可证》
汕头市龙湖区新津街道珠津工业区玉山路与玉津中路交界西北侧(广东汕头龙湖工业园区)郑灶泉厂房建设项目核发《建设工程规划许可证》
发布日期:2024-12-23 浏览次数:-
根据依照《中华人民共和国城乡规划法》第四十条规定,经审核,本建设工程符合城乡规划要求,颁发此证。
许可证号: | 建字第4405072024GG0060454号 |
发证机关: | 汕头市自然资源局 |
发证日期: | 2024年12月13日 |
建设单位(个人): | 郑灶泉 |
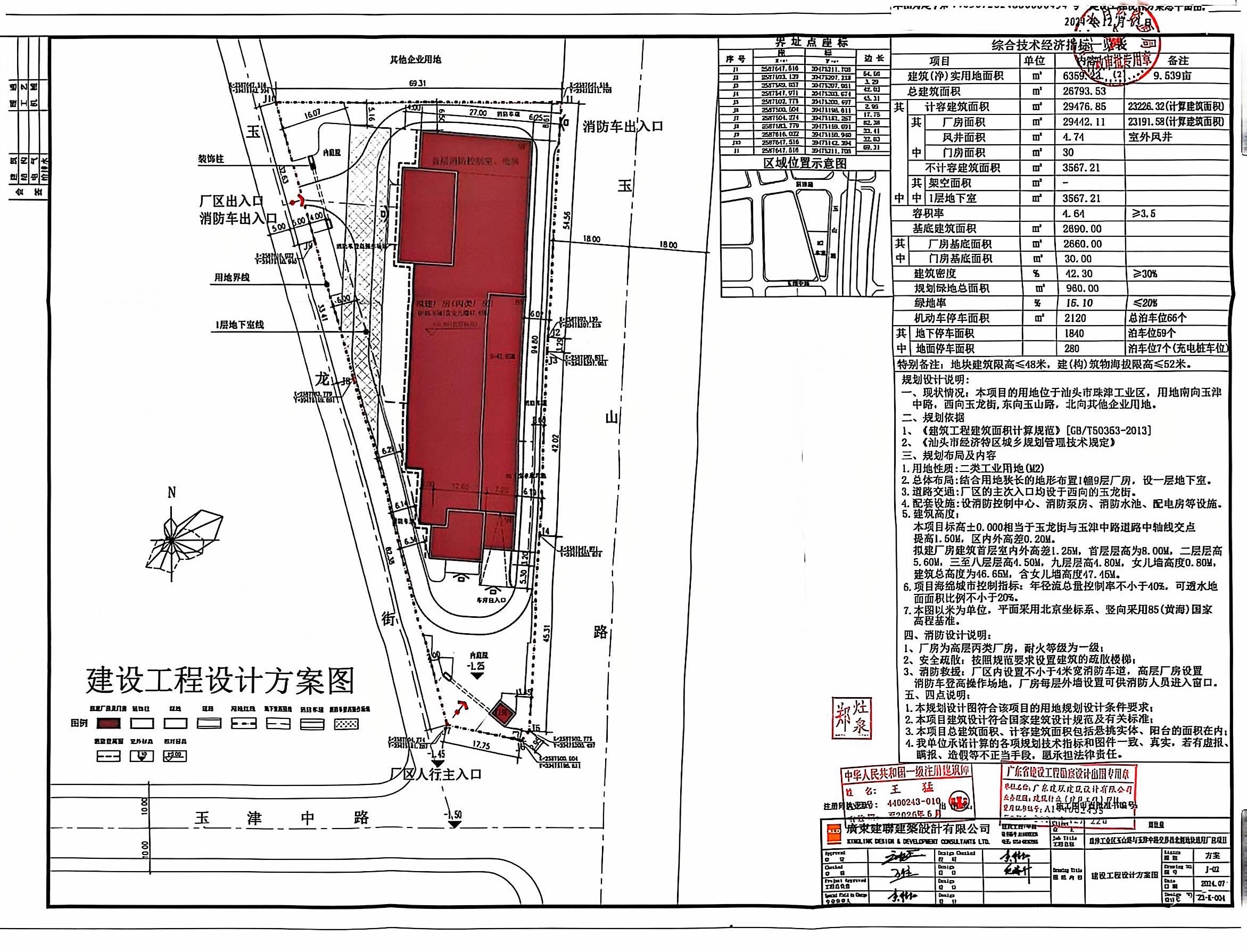
建设项目名称: | 郑灶泉厂房建设项目 |
建设位置: | 汕头市龙湖区新津街道珠津工业区玉山路与玉津中路交界西北侧(广东汕头龙湖工业园区) |
建设规模: | 1幢9层厂房,总建筑面积26793.53平方米。其中,计容建筑面积29476.85平方米,地下不计容建筑面积3567.21平方米。容积率:4.64,建筑密度:42.30%。 |
