按照《中华人民共和国城乡规划法》、《广东省城市控制性详细规划管理条例》以及政务公开有关规定的要求,我局将受理的建设项目规划审批申请事项公示如下:
申请单位:汕头市邦盛建材实业有限公司
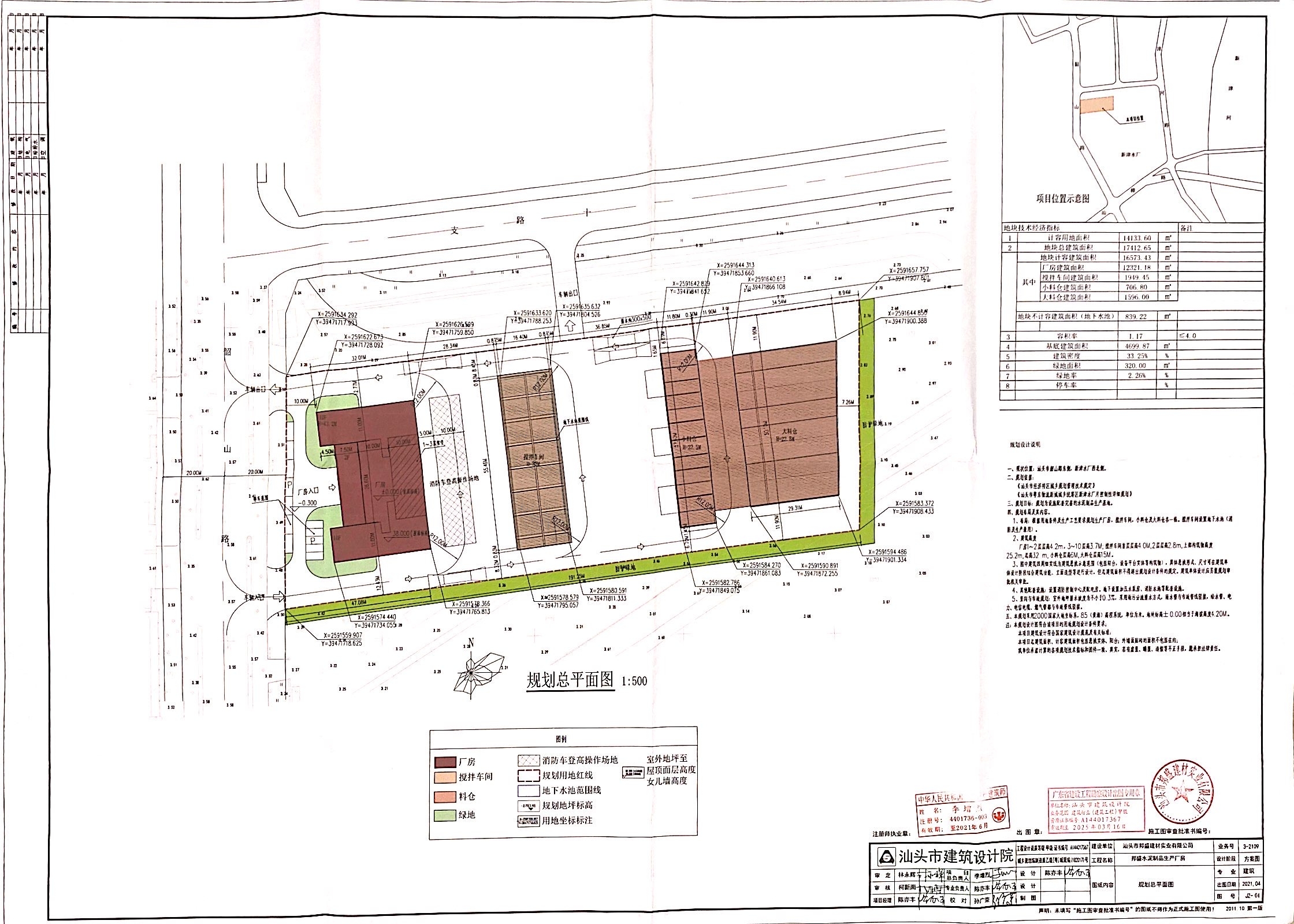
申请事项:建设工程规划许可
项目名称:邦盛水泥制品生产厂房
建设地址:汕头市龙湖区韶山路东侧、新津水厂西北侧
公示日期:2021年 5 月21日至 5 月30日
有关上述项目的详细信息可同时在汕头市人民政府门户网站市自然资源局专栏(网址:http://www.shantou.gov.cn/zrzyj/)查阅。项目有关信息,可到汕头市自然资源局龙湖分局(韩江路11号)查询。
凡与此申请事项之间有重大利益关系的项目利害关系人,可在公示之日起十日内,凭身份证、产权证明等有效证件向本局书面提出申述(申述材料采用书面形式)。逾期未提出的,视为放弃上述权利。
特此公告。
查询电话:88580106 监督电话:88787909
2021年 5月21日
